connect Espace
famille
Appli
mobile

Infos pratiques

Dates

A partir de la semaine du 3 novembre 2025 - pour une durée estimée à 6 semaines.

Qui contacter ?

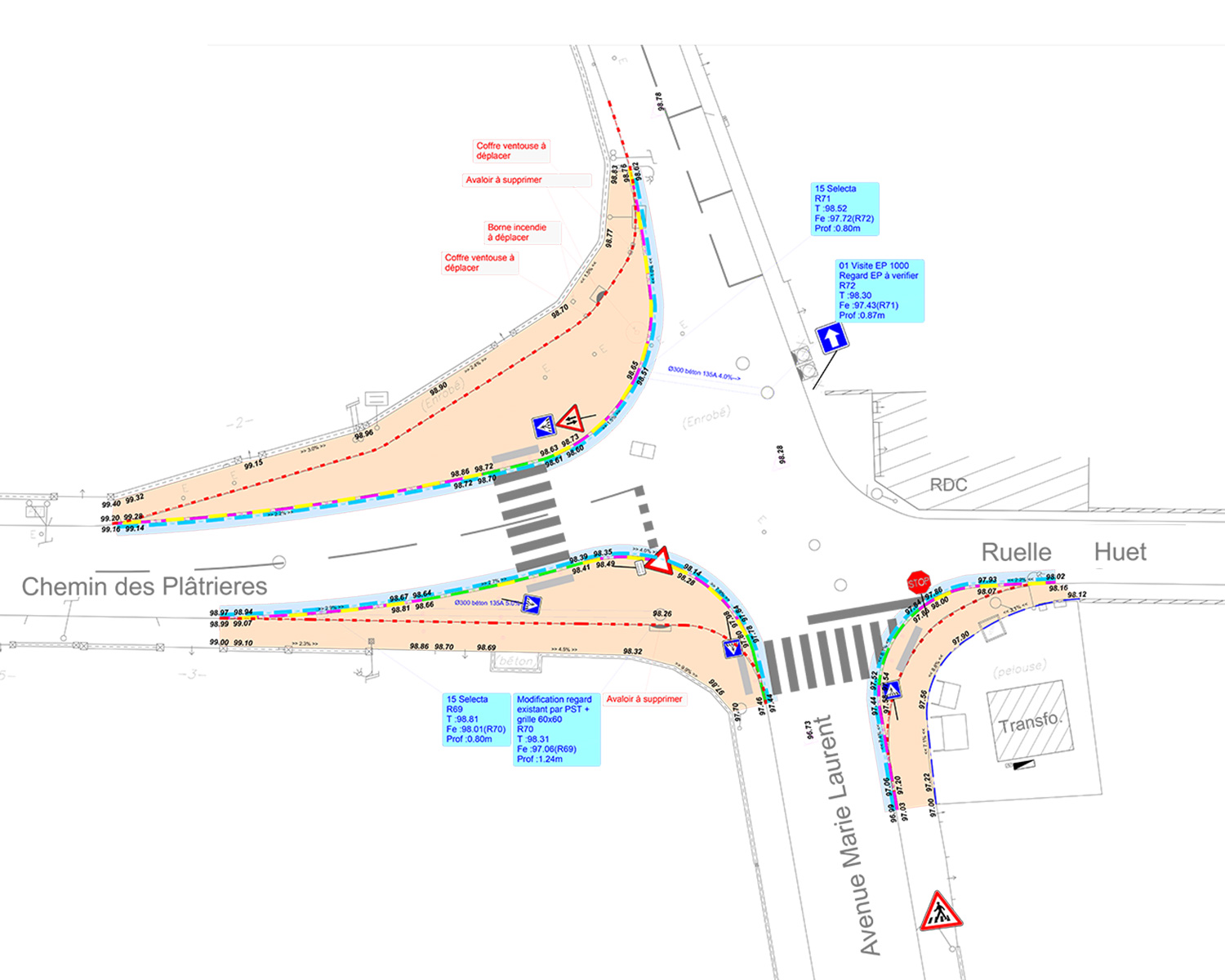
À la demande des habitants et en concertation avec le comité de quartier, la Ville de Villiers-le-Bel entreprend à partir de la semaine du 3 novembre 2025 des travaux d’aménagement dans le secteur du Val Roger. Ces interventions, confiées à l’entreprise Emulithe, visent à améliorer la sécurité, la circulation et le confort des piétons. La durée estimée des travaux est de 6 semaines.

Les principaux aménagements prévus

  • Carrefour Plâtrières / Huet / Margot : réaménagement du carrefour avec élargissement des trottoirs, pose de bordures de défense, création de passages piétons et de cédez-le-passage. Objectif : réduire la vitesse des véhicules, empêcher le stationnement sur trottoir et améliorer la visibilité.
  • Chemin de Margot : mise en sens unique de la voie et matérialisation de places de stationnement sur chaussée entre la ruelle Huet et les Basses Fosses.
  • Sentier des Basses Fosses : élargissement du trottoir et pose de bordures de défense pour empêcher le stationnement et faciliter l’accès des riverains à leurs domiciles.

Circulation et déviations 

  • Les travaux auront lieu du lundi au vendredi, de 8h à 17h. Toutes les voies seront rouvertes à la circulation après 17h.
  • Les travaux débuteront par le sentier des Basses Fosses.
  • Pour des raisons de sécurité et en raison de la faible largeur de la voie, le sentier sera fermé à la circulation pendant la première semaine.
  • Une déviation sera mise en place par l’avenue Marie-Laurent et la rue de Paris pour rejoindre la RD.

Pour le reste du chantier :

  • aucune voie ne sera fermée à la circulation,
  • une signalisation adaptée sera installée,
  • un alternat ponctuel pourra être mis en place.
  • Lors de la dernière semaine, certaines voies seront fermées temporairement pour la pose des enrobés.

La Ville vous remercie de votre compréhension pour la gêne temporaire occasionnée et de votre coopération pour la réussite de ce chantier au service du cadre de vie.

Pour toute information : Centre Technique Municipal : 01 34 29 40 40

En images

Retour à l'agenda
© Mairie de Villiers-le-Bel |  Mentions légales |  Politique Cookies |  Paramétrage des cookies |  Accessibilité |  Plan du site |  Open data |  Marchés publics
Retour en haut de page